CHEVROLET SUBURBAN 2017 K BURGUNDY 5.3L 8 VIN : 1GNSKJKC8HR397598

Démarre & Roule Démarre & Roule
Démarre le moteur Démarre le moteur
A les clés A les clés

Enchère

Copart USA
$

Enchère

17 300 USD

Numéro de lot Enchères Statut Date Montant
59182360
Copart USA
Sold 20/04/2021 17300$

Informations sur le lot

Numéro de lot

59182360

VIN

1GNSKJKC8HR397598

Vendeur

Emplacement

MO - COLUMBIA

Valeur au détail

43 578

Enchère

COPART

Document de vente

undefined - undefined

Dommages

FRONT END , HAIL

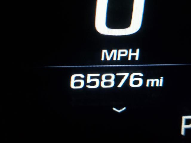
Odomètre, mi

65876

Moteur

5.3L 8

Carburant

GAS

Transmission

4x4 w/Rear Wheel Drv

Boîte de vitesses

AUTOMATIC

CHEVROLET SUBURBAN Statistiques de ventes

CHEVROLET SUBURBAN PREMIER 2017

Pour la période du : 2025-01 Au: 2025-12

IAAI: 25 Lots

COPART: 119 Lots

Total: 144


AVG Price

CHEVROLET SUBURBAN PREMIER 2017

Mois IAAI Nombre IAAI COPART Nombre COPART
December $0 0 $7088 4
November $8400 1 $5050 4
October $0 0 $7383 9
September $0 0 $7988 8
August $7900 2 $6394 8
July $0 0 $6450 14
June $5667 3 $8363 8
May $7858 3 $6792 6
April $7613 4 $7861 14
March $5300 1 $6309 11
February $5763 4 $6973 16
January $8275 7 $6247 17
StatVin.Tool - outil pour travailler avec les enchères
auctions-logo
  • Affichage complet du code VIN du véhicule, type de vendeur, réserve du vendeur, nombre d'offres placées par lot (pour IAAI)
  • Historique des enchères du véhicule aux ventes aux enchères Copart et IAAI
  • Catalogue avec les numéros de pièces du véhicule
  • Informations sur l'équipement technique du véhicule

Aucune voiture similaire trouvée lors de l'enchère.

Aucune voiture similaire trouvée lors de l'enchère.

Aucune voiture similaire trouvée lors de l'enchère.