CHEVROLET CAMARO 2018 SS BLUE 6.2L 8 VIN: 1G1FH3D72J0109369

იწყებს და მართავს იწყებს და მართავს
ძრავა იწყება ძრავა იწყება
გასაღებებია გასაღებებია

აუქციონები

Copart USA
$

შეფასება

14 200 USD

Ბევრი ნომერი აუქციონი სტატუსი თარიღი თანხა
37227211
Copart USA
Sold 22/04/2021 14200$

ბევრი ინფორმაცია

Ბევრი ნომერი

37227211

VIN

1G1FH3D72J0109369

Გამყიდველი

ადგილმდებარეობა

TX - DALLAS

შეფასებული მნიშვნელობა

34 382

აუქციონი

COPART

დოკუმენტაცია

TX - undefined

დაზიანება

SIDE

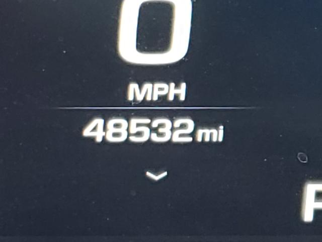
გარბენი, მილი

48532

ძრავა

6.2L 8

საწვავი

GAS

წამყვანი მოწყობილობა

Rear-wheel drive

Გადაცემა

AUTOMATIC

CHEVROLET CAMARO გაყიდვების სტატისტიკა

CHEVROLET CAMARO 2SS (AUTOMATIC) 2018

პერიოდისთვის დან : 2024-12 რომ: 2025-11

IAAI: 1 Lots

COPART: 2 Lots

სულ: 3


AVG Price

CHEVROLET CAMARO 2SS (AUTOMATIC) 2018

თვე IAAI დათვალეთ IAAI COPART დათვალეთ COPART
November $0 0 $0 0
October $0 0 $0 0
September $0 0 $0 0
August $0 0 $0 0
July $0 0 $0 0
June $0 0 $0 0
May $0 0 $0 0
April $0 0 $0 0
March $0 0 $0 0
February $0 0 $12300 1
January $0 0 $15700 1
December $14600 1 $0 0
StatVin.Tool - ხელსაწყო სააუქციო შესავალით
auctions-logo
  • მანქანის VIN კოდის, გაყიდვების ტიპის, გაყიდვების დაკითხვის, გამოსასვლელი ბიდების რაოდენობის სრული ჩვენება (IAAI-სთვის)
  • მანქანის დაწინაურების ისტორია Copart-ში და IAAI-ში განცხადებებზე
  • კატალოგი მანქანის ნაწილების ნომრებით
  • მანქანის ტექნი

უახლოეს მომავალში აქტიური მანქანებით ვაჭრობა არ ხდება.

უახლოეს მომავალში აქტიური მანქანებით ვაჭრობა არ ხდება.

უახლოეს მომავალში აქტიური მანქანებით ვაჭრობა არ ხდება.