NISSAN ROGUE 2017 S BLUE 2.5L 4 VIN: KNMAT2MVXHP506516

იწყებს და მართავს იწყებს და მართავს
ძრავა იწყება ძრავა იწყება
გასაღებებია გასაღებებია

აუქციონები

Copart USA
$

შეფასება

5 200 USD

Ბევრი ნომერი აუქციონი სტატუსი თარიღი თანხა
57504290
Copart USA
Sold 09/03/2021 5200$

ბევრი ინფორმაცია

Ბევრი ნომერი

57504290

VIN

KNMAT2MVXHP506516

Გამყიდველი

ადგილმდებარეობა

DC - WASHINGTON DC

შეფასებული მნიშვნელობა

14 866

აუქციონი

COPART

დოკუმენტაცია

MD - CERT OF SALVAGE > 75% DAMAGE

დაზიანება

FRONT END , REAR END

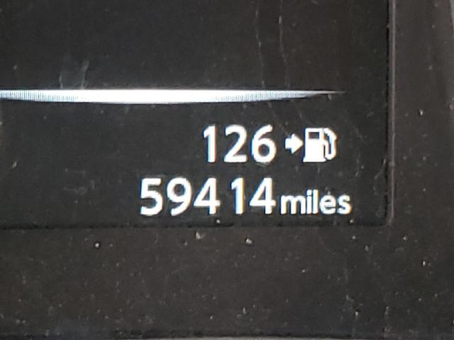
გარბენი, მილი

59414

ძრავა

2.5L 4

საწვავი

GAS

წამყვანი მოწყობილობა

All wheel drive

Გადაცემა

AUTOMATIC

NISSAN ROGUE გაყიდვების სტატისტიკა

NISSAN ROGUE WAGON BODY STYLE 2017

პერიოდისთვის დან : 2024-12 რომ: 2025-11

IAAI: 1306 Lots

COPART: 5108 Lots

სულ: 6414


AVG Price

NISSAN ROGUE WAGON BODY STYLE 2017

თვე IAAI დათვალეთ IAAI COPART დათვალეთ COPART
November $2655 33 $2024 197
October $2688 52 $2233 410
September $2747 69 $2388 340
August $2981 59 $2455 359
July $2702 106 $2486 456
June $2947 54 $2390 395
May $2625 34 $2463 421
April $2475 116 $2425 526
March $2431 177 $2415 545
February $2385 134 $2373 485
January $2406 238 $2402 500
December $2241 234 $2416 474
StatVin.Tool - ხელსაწყო სააუქციო შესავალით
auctions-logo
  • მანქანის VIN კოდის, გაყიდვების ტიპის, გაყიდვების დაკითხვის, გამოსასვლელი ბიდების რაოდენობის სრული ჩვენება (IAAI-სთვის)
  • მანქანის დაწინაურების ისტორია Copart-ში და IAAI-ში განცხადებებზე
  • კატალოგი მანქანის ნაწილების ნომრებით
  • მანქანის ტექნი

უახლოეს მომავალში აქტიური მანქანებით ვაჭრობა არ ხდება.

უახლოეს მომავალში აქტიური მანქანებით ვაჭრობა არ ხდება.

უახლოეს მომავალში აქტიური მანქანებით ვაჭრობა არ ხდება.